Notigape

"Irma" toca tierra en los Cayos Florida

Por: Staff NotiGape
10/09/2017 04:33
"Irma" toca tierra en los Cayos Florida

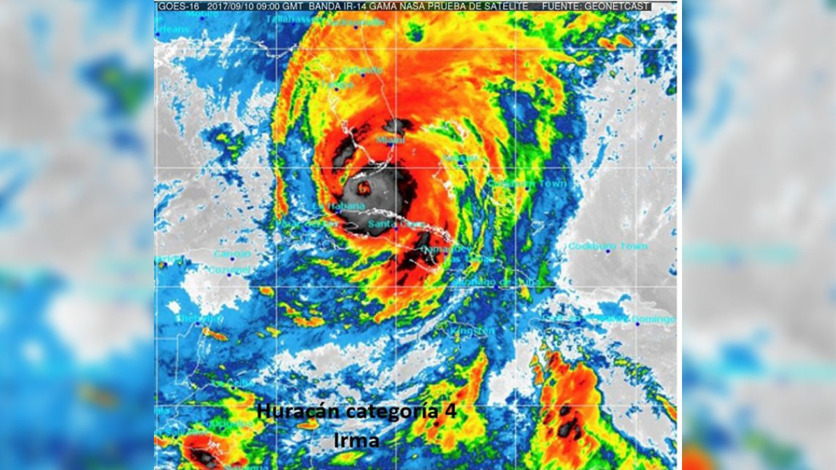
El huracán Irma de categoría 4, tocó el día de hoy tierra en los Cayos, Florida, con vientos sostenidos 215 kilómetros por hora, así lo dio a conocer el Centro Nacional de Huracanes de Estados Unidos.

El ojo de este fenómeno alcanzo el archipiélago de este estado, produciendo fuertes embates del viento.

De acuerdo a informes, “Irma” se encontraba aproximadamente a las 08:00 am de hoy centrado a unos 30 kilómetros al este-suroeste de Cayo Hueso, Florida, moviéndose hacia el noroeste a 13 kilómetros por hora.

El Servicio Meteorológico Nacional, con sede en Miami, emitió para los condados Monroe, Miami-Dade y Broward en el sur de Florida, alerta de tornado, pues todo indica que Irma avanza rápidamente por el territorio a lo que existen órdenes de evacuación obligatoria para 6.3 millones de personas.