Detienen a dos sospechosos de preparar atentado en París
Agentes de la policía francesa detuvieron este miércoles a dos hombres en las afueras de París sospechosos de fabricar explosivos para cometer un atentado, reportaron medios locales.
Agentes de la policía francesa detuvieron este miércoles a dos hombres en las afueras de París sospechosos de fabricar explosivos para cometer un atentado, reportaron medios locales.
Debido a la fuerza del huracán “Irma”, se estima que unos 70 mil turistas y residentes de los cayos de Florida y un archipiélago de unas mil 700 islas en un área de 356 kilómetros cuadrados, tendrán que evacuar este miércoles, así lo dieron a conocer autoridades estadounidenses.
El papa Francisco deseó este miércoles que se cree "diálogo" en Venezuela y que el país "encuentre una buena estabilidad" durante el vuelo en el que viaja a Colombia.
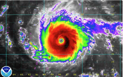
El fenómeno metereológico, que alcanzó su mayor categoría, ha tocado tierra en esta madrugada según el Servicio Nacional Metereológico de Estados Unidos.
Al oeste del huracán Irma se ha formado la tormenta tropical José, con dirección a la isla de Antigua y posibilidad de llegar a Estados Unidos como una tormenta potente y peligrosa, tras el paso del huracán Harvey y el posible impacto de Irma.
Con la llegada de Hervey a Texas, Estados Unidos, la construcción del muro propuesto Donald Trump, cuenta con un nuevo problema ya que ahora deberá lidiar con las secuelas de un huracán que dejó al estado bajo el agua, miles de personas sin hogar y una inversión de miles de millones de dólares tan solo en reconstrucción.
Está tarde el mandatario de Estados Unidos, Barack Obama, lamentó la decisión de su sucesor Donald Trump, quien el día de hoy puso fin al famoso programa DACA creado por Obama, el cual protegía a más de 800 mil jóvenes estudiantes de la deportación, pues estos llegaron ilegalmente a EU desde su infancia.
Cientos de dreamers se manifestaron a las afueras de la Casa Blanca en Estados Unidos después de la anulación a los beneficiarios del Acta de Acción Diferida para los llegados en la infancia (DACA).
Este martes el huracán Irma se convirtió en categoría 5 con vientos de hasta 281 kilómetros por hora.
Por medio de su cuenta oficial de Twitter, el presidente de Estados Unidos, Donald Trump (@realDonaldTrump), escribió “Voy a permitir a Japón y a Corea del Sur comprar una cantidad sustancialmente mayor de equipos militares altamente sofisticados de Estados Unidos”.
Este martes Corea del Norte dio a conocer recientemente había enviado un "paquete de regalo" a Estados Unidos y que habría más en el futuro.
Jeff Sessions, secretario de Justicia, dio a conocer el día de hoy en conferencia de prensa que la Acción Diferida para los Llegados en la Infancia (DACA, por sus siglas en inglés), fue anulada pero con un retraso de seis meses, el cual protegía el futuro de más de 800.000 jóvenes de la deportación, conocidos como los "dreamers" o "soñadores”.
Este martes la ministra francesa de Defensa, Florence Parly, anunció que Francia adquirirá drones armados antes de 2019, uniéndose así a un club de países cada vez más grande que incluye a Estados Unidos, Israel y Reino Unido.
Por medio de su cuenta oficial de Twitter, el presidente de Estados Unidos, Donald Trump (@realDonaldTrump), escribió: “¡Congreso, estén listos para hacer su trabajo: DACA!”, esto debido a que el día de hoy legisladores que regresaron a Washington, deberán decidir gran parte del futuro de la Acción Diferida para los Llegados en la Infancia (DACA, por sus siglas en inglés).
La CNN obtuvo acceso a la misiva que le dejó Barack Obama a Donald Trump en el Despacho Oval. Una tradición que todos los presidentes salientes de Estados Unidos escriben para dar algunos consejos a su sucesor.
El día de ayer la astronauta de la NASA, Peggy Whitson, regresó a la tierra luego de que finalizara su misión en la cual paso alrededor de 288 días en el espacio marcando un nuevo récord, como la persona con más tiempo fuera del mundo.
Una maestra de un colegio aplicó la letra con sangre al bofetear por tres minutos a uno de sus alumnos, luego de que el niño se encontraba distraído y no respondió ‘presente’ durante el pase de lista, los hechos se registraron en la ciudad de Lucknow, Uttar Pradesh, India.
Este lunes por la tarde, el gobernador del estado de Florida, Estados Unidos, Rick Scott declaró estado de emergencia ante la posible llegada del huracán Irma, que hasta el momento es categoría 4.
El centro Nacional de Huracanes informó que el huracán Irma ya es categoría 4 y se dirige hacia el Caribe, a las Islas de Sotavento.
Después de que las lluvias por Harvey hayan terminado en Texas, los trabajos de rescate y recuperación han arrojado miles de hogares destruidos por el agua, al igual que personas que no sobrevivieron al fenómeno natural y con ello, la cifra de 50 personas fallecidas.
Un hombre de aproximadamente 54 años, murió luego de ser aplastado al quererse tomar una fotografía con un elefante salvaje.
Esta tarde Andrew Cuomo, gobernador de la ciudad de Nueva York y el fiscal general del estado anunciaron que en caso de que el presidente Donald Trump, llegue a derogar la ley DACA, la cual se encarga de proteger a los civiles inmigrantes que llegaron desde muy pequeños al pais, este sera demandado.
El tifón Mawar tocó tierra anoche en la ciudad de Lufeng, en la sureña provincia de Guangdong, el tercero que azota al país en dos semanas, trayendo consigo intensas lluvias que obligaron a evacuar a cerca de 70 mil personas, cerrar escuelas y activar la alerta roja en cuatro ciudades.
Meteorólogos indicaron que el huracán Irma se podría convertir en una amenaza seria para Estados Unidos, pese a que su trayectoria hasta el momento no es clara, destacando que se encuentra catalogado como categoría 3.