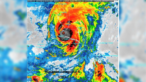
'Irma' se degrada a categoría 1 en Florida
El huracán Irma se degradó este lunes a categoría 1 al norte de Tampa, mientras seguía azotando la costa oeste de Florida dejando calles inundadas, 3.3 millones de familias y negocios sin energía y arrancando árboles de cuajo.